Rijeka, Bivio, Grundstück oberhalb des Hotels Hilton Costabe... Rijeka, Bivio, Grundstück oberhalb des Hotels Hilton Costabella, 1.335 m2

267.000 €

Ausstattung
  • 1.335 m2
Lage

RIJEKA

Beschreibung
Rijeka – Bivio / Turanj – oberhalb des Hilton Costabella Hotels

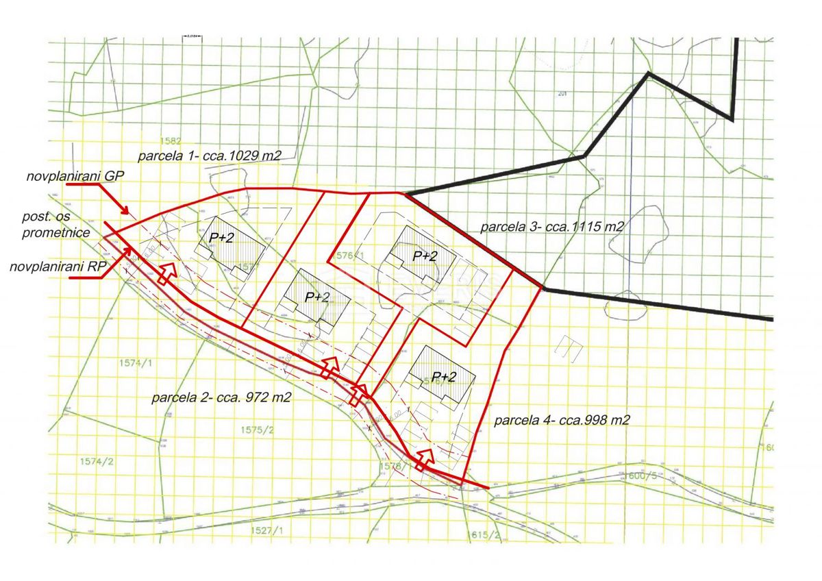
Baugrundstück von 1.335 m2, gehalten als Miteigentumsanteil von 104/400 an der gesamten Grundstücksfläche von 5.134 m2.

Zum Verkauf steht ein attraktives Baugrundstück mit einer Gesamtfläche von 1.335 m2, gelegen in der begehrten und ruhigen Lage Bivio – Turanj im westlichen Teil von Rijeka, nur 800 m Straßenentfernung vom Hilton Costabella Hotel.

Grundstücksstruktur:

* ca. 1.135 m² befinden sich in der Bauzone
* ca. 197 m² befinden sich in einer Grünzone, die zusätzliche Privatsphäre und Exklusivität bietet

Wichtiger Hinweis:

Der Urbanistische Entwicklungsplan (UPU) Turanj – Costabella befindet sich derzeit in Ausarbeitung.
Bis zur Verabschiedung des UPU ist die Beantragung einer Baugenehmigung nicht möglich. Nach dessen Annahme werden die Bebauungsbedingungen für das Grundstück genau festgelegt.

Teilung (Parzellierung):

Die Teilung des Grundstücks kann nach der Verabschiedung des UPU erfolgen.
Falls der Käufer bereits vor Unterzeichnung des Kaufvertrags Interesse an einer Teilung bekundet, definiert der Käufer den gewünschten Grundstücksteil. Die vorgeschlagene Teilung wird vorbehaltlich der Zustimmung aller Miteigentümer und gemäß den geltenden Vorschriften durchgeführt.
Alle Miteigentümer sind an der Durchführung der Teilung interessiert.

Preis:

Der Grundstückspreis beträgt €200 / m²*.

Nutzungszweck & Potenzial:

Das Grundstück eignet sich besonders für:

* den Bau einer repräsentativen Luxusvilla aufgrund der ruhigen Mikrolage und des hohen Maßes an Privatsphäre
* eine mehrgeschossige Wohnbebauung, sofern der zukünftige UPU dies zulässt

Infrastruktur:

* gesicherte Zufahrtsstraße
* Wasserversorgung
* Stromanschluss
* Eine Kanalisation ist derzeit nicht vorhanden. In Zusammenarbeit mit dem kommunalen Versorgungsunternehmen Vodovod i kanalizacija (VIK) ist es nach der Verabschiedung des UPU erforderlich, ca. 70 m Kanalisation zu errichten, sofern die Stadt Rijeka bis dahin nicht selbst die Kanalbauarbeiten in diesem Gebiet abschließt.

***Zusätzliche Kaufoption:

Es besteht die Möglichkeit, einen größeren Grundstücksanteil zu erwerben, da auch die übrigen Miteigentümer ihre Anteile zum gleichen Preis von €200 / m² verkaufen.
Die insgesamt zusätzlich verfügbare Grundstücksfläche beträgt ca. 4.110 m², davon:

* ca. 3.350 m² befinden sich in der Bauzone
* ca. 760 m² befinden sich in der Grünzone

Ein Inserat mit allen Details zum Erwerb der gesamten Fläche von ca. 4.110 m² ist auf der Website der Agentur Everis Nekretnine unter der Inserats-ID E1952 verfügbar.

Fazit:

Diese Immobilie stellt eine seltene Gelegenheit dar, nach Verabschiedung des Urbanistischen Entwicklungsplans eine luxuriöse private Wohnresidenz zu realisieren.
Übersicht
  • Typ: Grundstück
  • Fläche: 1335 m2
  • Grundstücksfläche: / m2
  • Zimmer: / Zimmer
  • Badezimmer: / Zimmer
  • Parkplätze: /
  • Parkplatz: /
  • Garage: /
  • Stockwerk: /
  • Immobilienansicht: /
  • Energieklasse: /
  • Anzahl der Aufrufe: /
Immobiliendetails
Typ
Grundstück
Fläche
1335 m2
Grundstücksfläche
/ m2
Zimmer
/ Zimmer
Badezimmer
/ Zimmer
Parkplätze
/
Parkplatz
/
Garage
/
Stockwerk
/
Immobilienansicht
/
Energieklasse
/
Anzahl der Aufrufe
/
Kartenansicht
  • Ort
    RIJEKA
  • Region
    PRIMORSKO-GORANSKA
Agenturinfo
Everis Real Estate
Verkäufer kontaktieren
Everis Real Estate
Mirjana Bagić
+
=